Link to home

Gray leaf spot photo gallery

A small collection of images portraying gray leaf spot in a variety of disease stages.

Return to Feature

Click on any thumbnail for more information


Infested corn debris

High relative humidty
favors GLS development

Early lesions.

Close-up view of early lesions.
 

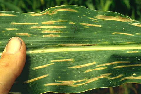
Close-up view of older lesions

GLS development on a
susceptible corn hybrid

Severe GLS development

Close-up view
of severe development

An example of
differential susceptibility
.

Severe stalk lodging

GLS lesion type: fleck response
on Pa875

GLS lesion type: chlorotic lesions
on inbred NC262A

GLS lesion type:chlorotic
on inbred NC250A

GLS lesion type: necrotic
on inbred B73

GLS  susceptible-type lesions